| Permalink: | JOSESECU | 
| Higher taxa: | Tortricidae (family)/ Tortricinae (subfamily)/ Archipini (tribe)/ Josefrazowskia (genus)/ | 
| Status: | Accepted | 
| Authorship: | Aarvik, 2019 | 
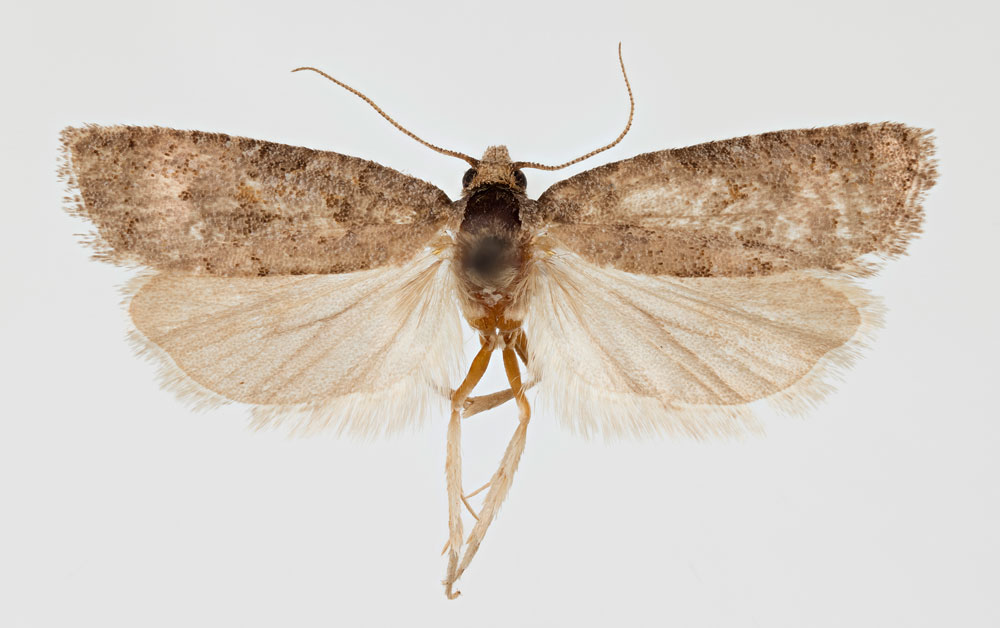
| Citation: | Josefrazowskia secundana spec. nov. | 
| Original genus: | Josefrazowskia | 
| Publication: | Aarvik L. 2019. Tortricidae (Tortricoidea). – In: Mey W. & Krüger M. (Eds), The Lepidoptera fauna of a crater valley in the Great Escarpment of South Africa: The Asante Sana Project. | 
| Journal: | Esperiana Memoir | 
| Volume: | 8 | 
| Issue: | |
| Pagination: | 321, figs 35, 67 | 
                        
                        
                    | Scientific name | TypeStatus | Gender | Museum | Description | Country | Locality | Publication | URL | 
|---|---|---|---|---|---|---|---|---|
| Josefrazowskia secundana Aarvik, 2019 | Holotype | ♂ | MfN | Holotype ♂, genitalia slide L. Aarvik 2017.014♂, MfN | South Africa | South Africa, Eastern Cape, Graaff-Reinet District, Asante Sana Game Farm, cottage, 02–06.iv.2011, leg. W. Mey. | ||
| Josefrazowskia secundana Aarvik, 2019 | Paratype | ♂ | MfN | Paratypes 2♂, genitalia slide L. Aarvik 2017.007♂, MfN. | South Africa | South Africa, Eastern Cape, Graaff-Reinet District, Asante Sana Game Farm, cottage, 02–06.iv.2011, leg. W. Mey. | 
| Scientific name | Country | Province | Publication | URL | 
|---|---|---|---|---|
| Josefrazowskia secundana Aarvik, 2019 | South Africa | Eastern Cape | Aarvik L. 2019. Tortricidae (Tortricoidea). – In: Mey W. & Krüger M. (Eds), The Lepidoptera fauna of a crater valley in the Great Escarpment of South Africa: The Asante Sana Project. page 321 | 
| Scientific name | Plant | Plant Family | Country | Publication | URL | 
|---|
| Scientific name | Parasitoid | Parasitoid Family | Country | Publication | URL | 
|---|
                                
                            | Scientific Name | Authorship | Rank | Status | Original Combination | 
|---|
| Scientific Name | Authorship | Rank | Status | Original Combination | 
|---|