| Permalink: | THUBPILE |
| Higher taxa: | Lecithoceridae (family)/ Torodorinae (subfamily)/ Thubdora (genus)/ |
| Status: | Accepted |
| Authorship: | Karisch & Park, 2025 |
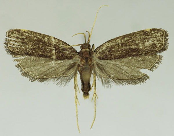
| Citation: | Thubdora pileata Karisch & Park, sp. nov. |
| Original genus: | Thubdora |
| Publication: | Karisch T., Dutton A.-J., Yu T.-U. & Park K.-T. 2025. Lecithoceridae (Lepidoptera: Gelechioidea) from Nimba Mts. bordering Liberia and Guinea, Part I: The subfamily Torodorinae, with descriptions of 15 new species. |
| Journal: | Zootaxa |
| Volume: | 5728 |
| Issue: | 2 |
| Pagination: | 272–274, fig. 15 |
| URL: | https://doi.org/10.11646/zootaxa.5728.2.2 |
| Scientific name | TypeStatus | Gender | Museum | Description | Country | Locality | Publication | URL |
|---|---|---|---|---|---|---|---|---|
| Thubdora pileata Karisch & Park, 2025 | Holotype | ♀ | SDEI | Holotype ♀, genitalia slide T. Karisch 4158♀, SDEI. | Liberia | Liberia, Nimba Mts, 7.9 km SSE of Yekepa, 1 km SW of Celcom tower, 7°30'55.5"’N 8°31'24.6"W, 1320 m, 2022-08-30, leg. T. Karisch & A.-J. Dutton. |
| Scientific name | Country | Province | Publication | URL |
|---|---|---|---|---|
| Thubdora pileata Karisch & Park, 2025 | Liberia | Karisch T., Dutton A.-J., Yu T.-U. & Park K.-T. 2025. Lecithoceridae (Lepidoptera: Gelechioidea) from Nimba Mts. bordering Liberia and Guinea, Part I: The subfamily Torodorinae, with descriptions of 15 new species. page 272 |
| Scientific name | Plant | Plant Family | Country | Publication | URL |
|---|
| Scientific name | Parasitoid | Parasitoid Family | Country | Publication | URL |
|---|
| Scientific Name | Authorship | Rank | Status | Original Combination |
|---|
| Scientific Name | Authorship | Rank | Status | Original Combination |
|---|